Skip to main content
File #: Res. 2018-92R    Version: 1 Name:
Type: Discussion Item Status: Individual Consideration
File created: 5/2/2018 In control: City Council
On agenda: 6/5/2018 Final action:
Title: Consider approval of Resolution 2018-92R, approving the award of a contract to Denbow Company, Inc. for services to reroute storm water run-off from residential areas to Coers Creek for an amount estimated at $1,690,365.03; authorizing the City Manager or his designee to execute the said agreement on behalf of the City and declaring an effective date.
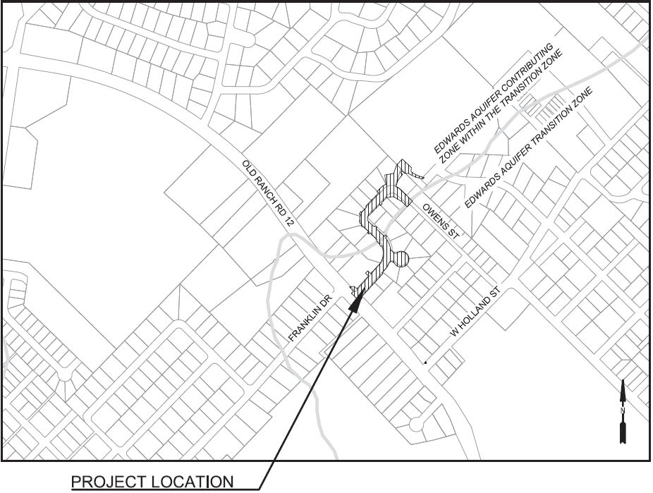
Attachments: 1. Resolution, 2. Signed Tabulation, 3. 2018-04-27_Coers Dr. Recommendation of Award, 4. Site Map
Date Ver.Action ByActionResultAction DetailsMeeting DetailsVideo
No records to display.
AGENDA CAPTION:
Title
Consider approval of Resolution 2018-92R, approving the award of a contract to Denbow Company, Inc. for services to reroute storm water run-off from residential areas to Coers Creek for an amount estimated at $1,690,365.03; authorizing the City Manager or his designee to execute the said agreement on behalf of the City and declaring an effective date.
Body
Meeting date: June 5, 2018

Department: Capital Improvements - Laurie Moyer, Director (by Lynda Williams, Purchasing Manager)

Amount & Source of Funding
Funds Required: $1,690,365.03
Account Number: C597
Funds Available: $1,700,000
Account Name: Coers Drive Improvements

Fiscal Note:
Prior Council Action: Click or tap here to enter text.

City Council Strategic Initiative: [Please select from the dropdown menu below]
Stormwater
Goal #5 Maintain & Improve City's Infrastructure
Choose an item.
Comprehensive Plan Element (s): [Please select the Plan element(s) and Goal # from dropdown menu below]
? Economic Development - Choose an item.
? Environment & Resource Protection - Choose an item.
? Land Use - Choose an item.
? Neighborhoods & Housing - Choose an item.
? Parks, Public Spaces & Facilities - Choose an item.
? Transportation - Choose an item.
? Not Applicable

Master Plan: [Please select the corresponding Master Plan from the dropdown menu below (if applicable)]
Choose an item.


Background Information:
In 2015, the City asked Halff Associates to investigate the storm water runoff associated with the Old Ranch Road 12 Bike/Pedestrian and Widening project. It was determined that there will be a negligible increase in runoff associated with the road widening; however the Coers Drive area was a known area with drainage issues. Since a portion of the RR12 project drains to Coers Drive, the design engineer investigated the current drainage on Coers and determined a large amount of run-off crosses through residential lots. The Coers Drainage Project will capture the run-off a...

Click here for full text